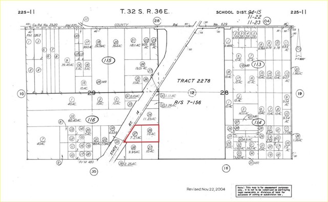
**Excellent development opportunity with two contiguous parcels totaling 17.21 acres zoned R3 High-Density Residential. Located just south of California City Blvd with direct paved frontage along the Hwy 14 Frontage Road, these parcels sit immediately east of State Highway 14 in a future residential corridor. The 7.21-acre and 10-acre parcels offer flat, buildable terrain ideal for multi-family housing, townhomes, apartments, or higher-density residential projects (buyer to verify). Prime location near the Mojave Air & Space Port, with outstanding visibility and convenient access to major transportation routes. Rare chance for developers to secure large R3-zoned acreage in a high-growth area with strong long-term demand.**APN#225-116-26 & 37 both included in sale.
MLS #
CRSR25272866
MLS Source
California Regional MLS
Days on Site
0
HOA Fee
$0
Zoning
D7, D8, LZ, LSI, LV
0 14 Fwy Frontage Rd is in California City, CA 93501. This Land is currently priced at $55,000. This address can also be written as 0 14 Fwy Frontage Rd, California City, CA 93501.
©2025 California Regional MLS. All rights reserved. All data, including all measurements and calculations of area, is obtained from various sources and has not been, and will not be, verified by broker or MLS. All information should be independently reviewed and verified for accuracy. Properties may or may not be listed by the office/agent presenting the information. Information provided is for personal, non-commercial use by the viewer and may not be redistributed without explicit authorization from California Regional MLS.
Presently MLSListings.com displays Active, Contingent, Pending, and Recently Sold listings. Recently Sold listings are properties which were sold within the last three years. After that period listings are no longer displayed in MLSListings.com. Pending listings are properties under contract and no longer available for sale. Contingent listings are properties where there is an accepted offer, and seller may be seeking back-up offers. Active listings are available for sale.
This listing information is up-to-date as of December 09, 2025. For the most current information, please contact April Bartlett